Advertisements
Advertisements
Question
दायीं तरफ दिया गया आकार एक बेलन है -

Options
सत्य
असत्य
Advertisements
Solution
यह कथन असत्य है।
स्पष्टीकरण -
दिया गया आकार एक छिन्नक है। बेलन का आकार है,

APPEARS IN
RELATED QUESTIONS
एक वर्गाकार बगीचे की भुजा 30 m है। इसका चित्र खींचने के लिए स्केल 1 cm : 5 m का प्रयोग किया गया है। तब, चित्र में इस बगीचे का परिमाप होगा -
एक बेलन एक त्रिविमीय आकार है, जिसमें विभिन्न त्रिज्याओं के दो वृत्ताकार फलक होते हैं।
यदि एक मानचित्र पर 100 m की दूरी 1 cm से निरूपित की जाती है, तो 2 cm के संगत दूरी 200 m है।
नीचे दी गई आकृति में विभिन्न संबद्ध आकारों को पहचानिए -

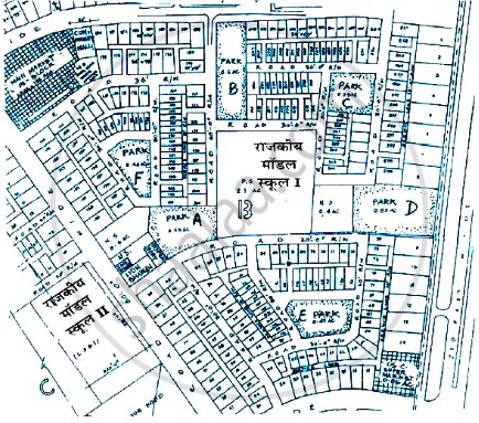
आगे आने प्रश्न का उत्तर देने के लिए निम्न मानचित्र को देखिए-

चित्र में दर्शाए स्कूलों के नाम लिखिए।
नीचे दिये मानचित्र में बिंदुकित रेखाओं द्वारा मिलाये गये स्थानों के बीच की दूरी (सेमी में) पटरी से मापिए। यदि यह मानचित्र स्केल 1 cm : 10 cm पर खींचा गया है, तो निम्न के बीच की वास्तविक दूरियाँ ज्ञात कीजिए -
कॉलेज और कॉम्पलेक्स

नीचे दिये मानचित्र में बिंदुकित रेखाओं द्वारा मिलाये गये स्थानों के बीच की दूरी (सेमी में) पटरी से मापिए। यदि यह मानचित्र स्केल 1 cm : 10 cm पर खींचा गया है, तो निम्न के बीच की वास्तविक दूरियाँ ज्ञात कीजिए -
घर और स्कूल

एक पेंटिंग की वास्तविक लंबाई 2 m है। इसकी चित्र में क्या लंबाई है, यदि 1 mm : 20 cm स्केल का प्रयोग किया गया है?

स्केल ज्ञात कीजिए -
वास्तविक माप 45 फीट
ड्राइंग में माप 5 इंच
निम्न ठोस के लिए, 'सामने से', 'पार्श्व' और 'ऊपर से' दृश्यों को पहचानिए तथा उन्हें दिये गए स्थानों पर लिखिए -

