Advertisements
Advertisements
प्रश्न
दायीं तरफ दिया गया आकार एक बेलन है -

पर्याय
सत्य
असत्य
Advertisements
उत्तर
यह कथन असत्य है।
स्पष्टीकरण -
दिया गया आकार एक छिन्नक है। बेलन का आकार है,

APPEARS IN
संबंधित प्रश्न
नीचे दिये मानचित्र में, स्थानों के बीच की दूरी स्केल 1 cm : 0.5 km का प्रयोग करते हुए दर्शायी गयी है तब, स्कूल और पुस्तक की दुकान की दूरी (km में) है -

नीचे एक नगर का मानचित्र दिया गया है -

नगर में अस्पतालों की संख्या है -
नीचे दी गई आकृति में विभिन्न संबद्ध आकारों को पहचानिए -

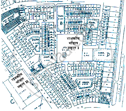
आगे आने प्रश्नों के उत्तर देने के लिए निम्न मानचित्र को देखिए-

- राजकीय मॉडल स्कूल 1 का निर्मित क्षेत्रफल क्या है?
- चित्र में दर्शाए स्कूलों के नाम लिखिए।
- कौन-सा पार्क डिस्पेंसरी के निकटतम है?
- मुख्य बाजार किस ब्लॉक में है?
- मानचित्र में कितने पार्क निरूपित हैं?
आगे आने प्रश्न का उत्तर देने के लिए निम्न मानचित्र को देखिए-

मुख्य बाजार किस ब्लॉक में है?
नीचे दिये मानचित्र को देखिए -
`square` घर

अब निम्न प्रश्न का उत्तर दीजिए -
किस सेक्टर में घरों की संख्या अधिकतम है?
नीचे दिये मानचित्र को देखिए -
`square` घर

अब निम्न प्रश्न का उत्तर दीजिए -
मानचित्र में कितने सेक्टर दर्शाए गये हैं?
नीचे दिये मानचित्र में बिंदुकित रेखाओं द्वारा मिलाये गये स्थानों के बीच की दूरी (सेमी में) पटरी से मापिए। यदि यह मानचित्र स्केल 1 cm : 10 cm पर खींचा गया है, तो निम्न के बीच की वास्तविक दूरियाँ ज्ञात कीजिए -
घर और स्कूल

किसी शहर में, एक आइसक्रीम पार्लर ने आइसक्रीम की 360 cm ऊँची एक मूर्ति प्रदर्शित की हुई है। पार्लर वाला यह दावा करता है कि ये आइसक्रीम और मूर्ति 1 : 30 के स्केल में हैं। परोसी जाने वाली आइसक्रीमों की ऊँचाई कितनी है?
निम्न ठोस के लिए, 'सामने से', 'पार्श्व' और 'ऊपर से' दृश्यों को पहचानिए तथा उन्हें दिये गए स्थानों पर लिखिए -

